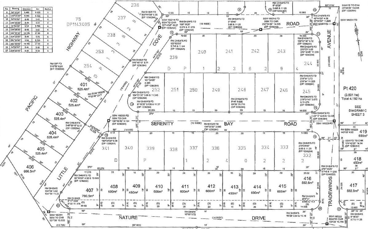
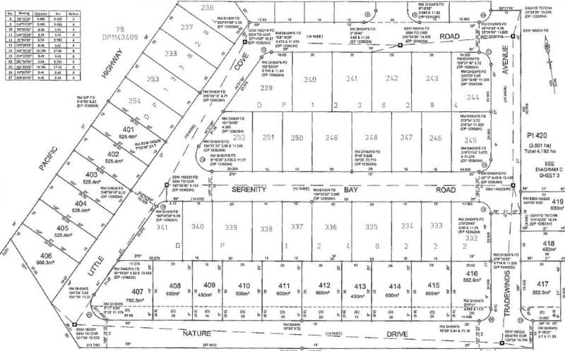
Lot 409 Nature Dr, Emerald Beach NSW 2456

SOLD

SOLD BY CARDOW & PARTNERS PROPERTY PH: 6654 1148

This block is located right opposite the reserve with only potential neighbours next to you, some might say the best blocks in subdivision.

STAGE 4 RELEASED
Level home sites, walk to beach
- 120 blocks with 60 already sold
- Land priced from $265,000
- New built child-care centre up and running
- New playground about to be commenced
- Sunny level lots, short stroll to beach
- Located east of the highway
- All home sites are level/flat easy to build on
- 5 minute drive to Woolgoolga Village, 10 minutes to Coffs Harbour CBD

For updated copies of site plan & price list please call or email Mark mark@emeraldbeachestate.com.au.

Beachside living is always in demand at Emerald Beach. Create your own idyllic lifestyle in the increasingly popular northern beaches.

This block will appeal to first home buyers, holiday home/investors or anyone wanting to live in this in demand coastal community.

Don't let this opportunity pass by. There are very few coastal land releases left on the Coffs Coast and even fewer that are level & have easy build lots.

Enjoy the beach village easy lifestyle, with great restaurants, café & National Park all in walking distance.

Yes this block is close to the freeway but so are many in Sapphire Beach and Emerald Beach but with sound barriers & clever design the noise is minimal and look at the prices of houses there, they have sky-rocketed over the last few years.

The quiet location is literally a 5 minute stroll to pristine beaches, yet only 8 minutes to Woolgoolga and Moonee Beach shopping precincts or 15 mins to Park Beach Plaza, providing the prefect combination of lifestyle and convenience.

If you are looking to secure your own piece of coast to design your dream home, don't miss this priceless position with endless possibilities.

SOLD

$245,000

Land size: 450 m2

Email Agent

  • Anti-Spam Image
  • Submit

Nicole Cardow
Nicole Cardow
Principal | Licensee
Woolgoolga

Email Agent

Properties in Emerald Beach

For Lease
$1500 per week
Discover luxury coastal living in the heart of Emerald Beach

Emerald Beach

3 Dammerel Crescent

  • 5

  • 4

  • 2

For Lease
From $2,500 Weekly
The Location - Del Boca Vista is just perfect if you are now planning for your next family holiday.

Emerald Beach

111 Fiddaman Road

  • 4

  • 2

  • 1

For Lease
From $2,650 Weekly
A holiday in Emerald Beach has never looked so good.

Emerald Beach

31 Ocean View Crescent

  • 4

  • 2

  • 2

For Lease
From $700 Weekly
Detached architecturally designed holiday house

Emerald Beach

41A Fishermans Drive

  • 2

  • 1

  • 1

View More

SOLD
Luxury at its absolute best!
SOLD
SOLD
Wed 22nd May

Emerald Beach

28 Ocean View Crescent

  • 5

  • 3

  • 3

SOLD
$1,035,000
SOLD BY CARDOW & PARTNERS PROPERTY
SOLD
SOLD
Mon 5th June

Emerald Beach

73 Emerald Heights Drive

  • 4

  • 2

  • 5

SOLD
$642,000
SOLD BY CARDOW & PARTNERS PROPERTY PH: 6654 1148
SOLD
SOLD
Thu 22nd April

Emerald Beach

1 Pont Close

  • 2

  • 1

  • 1

SOLD
Stylish, Spacious & Convenient!
SOLD
SOLD
Fri 26th March

Emerald Beach

8 Serenity Bay Road

  • 4

  • 2

  • 2

SOLD
$620,000
Large family home - walk straight in!
SOLD
SOLD
Thu 5th November

Emerald Beach

13 Sunshine Circuit

  • 4

  • 2

  • 2

SOLD
$330,000
One of the last remaining vacant blocks of land on Fiddaman Road
SOLD
SOLD
Tue 18th August

Emerald Beach

22 Fiddaman Road

View More

Sign up here to receive Property Alerts

Sign up to receive property results in your inbox on a Friday afternoon.

Our Office

$
$
Note: fields marked with asterisk (*) are required to submit this form.

Contact Us

[gravityform id="3" title="false" description="false" ajax="true"]